

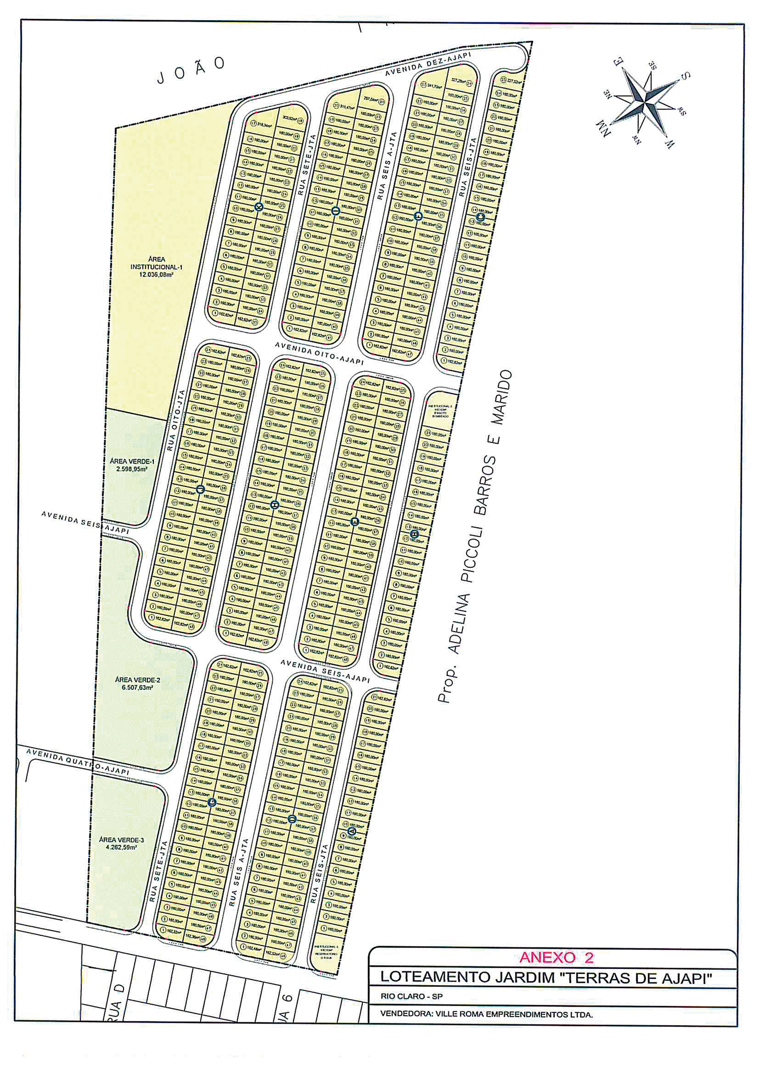
A VENDEDORA é a justo título, senhora e legítima possuidora, absolutamente livre e desembaraçada de todos e quaisquer ônus, dúvidas, dívidas, gravames, desapropriações, arrestos, seqüestros, litígios ou hipotecas, de uma gleba de terras situada no Município de Rio Claro, Estado de São Paulo, com área superficial de 130.000,70 m2, perfeitamente descrita e caracterizada na matrícula nº 16.294, livro 2 do 1º Registro de Imóveis de Rio Claro, área esta que constitui, nos termos da Lei Federal nº 6.766 de 19/Dezembro/1979 e demais legislações aplicáveis à espécie, o Loteamento denominado “JARDIM TERRAS DE AJAPI” devidamente aprovado pelos órgãos públicos competentes, pelo GRAPROHAB sob nº 178/09 de 16/06/09, pela Prefeitura Municipal de Rio Claro, conforme Certidão de Aprovação datada de 16/11/10 e registrado sob nº R-5 na mencionada matrícula nº 16.294.